After a friend posted a picture of a cool caterpillar on my facebook page this week (Wild Thailand) I was inspired to showcase some of the cool caterpillars that I’ve found so far. So here are a few of the cool caterpillars I’ve found in Thailand to date.
Lime Butterfly (Papilio Demoleus) Caterpillars
They are truly bizarre, caterpillars which disguise themselves as bird droppings to discourage predators from eating them and it really is a very convincing disguise.
Dysphania Moth Catterpillars
This next caterpillar species, I can only describe as alien, they look like creatures straight out of a sci-fi movie
Baron Butterfly Caterpillar
This caterpillar usually has great camouflage…… when it’s on a leaf that is. Its fuzzy border helps to break up its silhouette. On a green background they blend in seamlessly so I guess it was lucky that I spotted this one on a metal pole or I might not have spotted it at all.
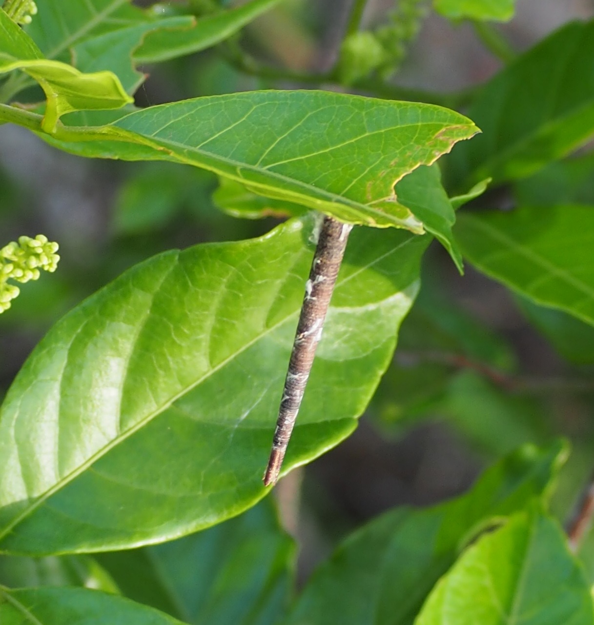
Bagworm/Caseworm Moth Caterpillars.
As their name suggests, these caterpillars build themselves a protective case to hide in, and they come in lots of really cool designs.
Hawk Moth Caterpillars
These guys can be truly gargantuan and a lot of them have pretty cool 80’s neon colours running along their bodies.
Leopard Lacewing (Cethosia cyane) Caterpillars
These caterpillars are also reasonably big like the hawk moths but their colour scheme is quite different with incredibly vibrant red black and yellow stripes along their spiky bodies.
Hairy Caterpillars
Thailand is also home to a myriad of cool hairy caterpillars all with unique hair styles that are fascinating to look at.
A warning though, their cool hair styles are actually a defense mechanism that when touched lodge in your skin causing a nasty rash or in the case of some caterpillars the hairs are coupled with venom glands to pack an extra punch.
That’s all for now but I’m looking forward to seeing what new caterpillars will have emerged after the rainy season comes to an end.




























What’s up everyone, it’s my first visit at this website,
and post is truly fruitful for me, keep up posting such articles.
LikeLike
Thanks
LikeLike
Thanks Goosegame.io, glad you liked the material.
LikeLike